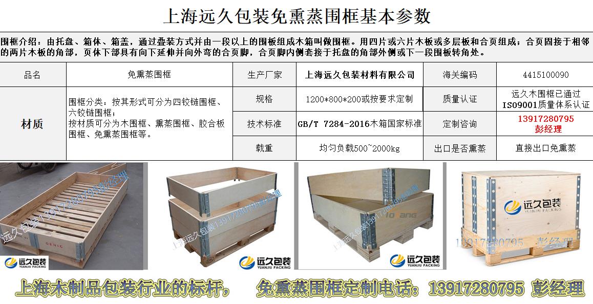
工業運輸包裝追求的是一個合適的包裝,也就是經常說的恰好包裝,所謂恰好包裝就是指除了可以滿足運輸過程中,在環境沖擊力及物流環境沖擊的情況下對產品有效的保護,還需要做到包裝成本、人力物力等綜合成本的最好性價比,以及滿足環保法規等約束條件的木箱包裝 。 在環保法規約束的條件下,滿足出口免熏蒸的材料有很多,如有金屬材質鐵箱,特點是承載力大,但價格高昂所以只適合周轉,不適合普通物品出口使用,有性價比高的紙箱包裝,特點是怕潮且承載力道不夠,只適合一些日用品包裝,因此最常用的就是就是人造板材加工的免熏蒸木箱包裝。 免熏蒸圍框也叫膠合板圍框,和木箱一樣由六大片組成,免熏蒸圍框的功能和歐標標準圍框木箱都是一樣的,與出口熏蒸圍板木箱唯一的區別就是出口免熏蒸,在出口運輸的時候,省去了許多的中間環節,節省了大量的時間,免熏蒸圍框一次性使用居多,由于材質的本身特性等多方面原因,免熏蒸圍框不利于回收,回收利用率不高。 所以市面上很少有流通的二手免熏蒸圍框,雖然不像歐標標準圍框一樣有尺寸規定,但是在定制免熏蒸圍框的時候,也有一些需要注意的事情,也不是說,我想做多大規格都行,其一需要考慮木圍框的最佳載重性能,另一方面要考慮集裝箱的尺寸,結合這幾個方面綜合設計免熏蒸圍框的尺寸。 免熏蒸圍框由四片或六片膠合板和合頁組成;相鄰的兩塊圍板之間呈90°,合頁固接于相鄰的兩片膠合板的角部,頁體下部具有向下延伸并向外彎的合頁腳,合頁腳內側套接于托盤的角部外側或下一段圍板轉角處,免熏蒸圍框的優勢在于: 1、運輸時可將免熏蒸圍框的圍板折疊為雙層或四層相連接的膠合板板結構擺放在托盤上,大大地減少貯運體積,有效的降低運輸成本。 2、圍板包裝箱的長、寬根據托盤的尺寸確定,使用層數可根據承載物的高度來決定,最大限度地提高箱體空間的利用率。 3、由于無釘化作業,顯著地降低了工人在裝卸過程中發生工傷的風險。 4、不存在因箱體的部分損壞而令整套免熏蒸圍框報廢的情況,對于同一尺寸,可實現完全互換使用。













滬公網安備 31011702002672號
客服